俗话说“借钱吃海货,不算不会过”,现在青岛以及北方开海已有一周,此时不放开肚子大吃一通是不符合道义的。吃点什么好?不妨亲自到码头看一看都有些啥。

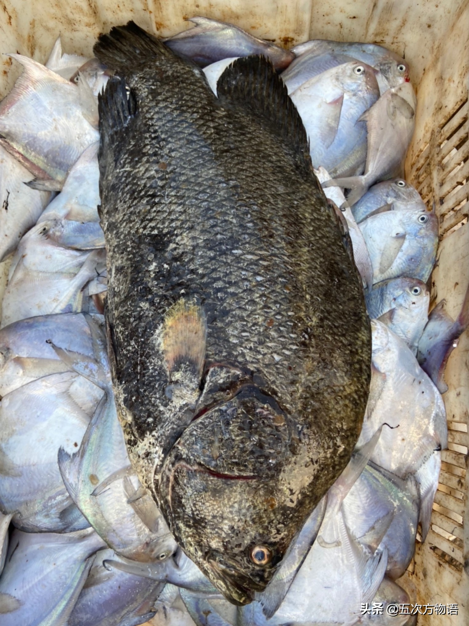
图一 镰鲳
镰 鲳/Pampus echinogaster,“正宗”的青岛本地鲳鱼。虽然人们通常叫它“银鲳”,但青岛海域并无银鲳/分布,根据分子生物学的证据,“台海以北无银鲳”;不过鲳科鲳属6个有效种中,除中国鲳(斗鲳)长相较为独特之外,其余5种实难分辨,不分也罢,吃就得了。新鲜度高的鲳鱼宜清蒸,油炸就等而下之了。

图二 丝鲹
顺便介绍一下丝鲹/Alectis ciliaris,这也是青岛渔民捕获的,乍看有那么一丢丢像鲳鱼,但面容偏古怪。据说极为难吃,渔民对其鄙夷不屑,通常直接扔掉,几毛钱都没人要。注意观察,此鱼自幼时即有数根鳍条延长如丝状,随着成长而逐渐变短,这与鲳鱼截然不同,别被“奸商”蒙了。

图三 鲯鳅
这几天还有一种不好吃的鱼上岸,鲯鳅/Coryphaena hippurus,长了一个如同脑积水的大头,宛如智障,俗称“鬼头刀”。活着的体色艳丽,集亮蓝、翠绿和金黄于一身,死后会色彩尽消,上图中的还算残存些“遗迹”,似可管窥其生前风采。此鱼是出了名的难吃,晒制成鱼干后尚可入口,比丝鲹略强。鲜的坚决不能买。

图四 普通的带鱼

图五 珠带鱼
开海当然少不了带鱼。黄海本来只出产带鱼/Trichiurus lepturu和小带鱼/Eupleurogrammus muticus,近些年又出现了另一种带鱼,其鱼鳍呈黄色,渔民称之为“黄金刀”,售价比普通带鱼略贵。据黄海所李昂博士判断,可能是原产南方的珠带鱼/Trichiurus margarites,因水温升高而迁徙北上。据说这种带鱼肉质较厚且弹软紧绷,味道更加甘美,遇到切不可错过。

图六 鲔
这鱼有点像短胖的鲅鱼,又似膨胀的日本鲐,究竟什么鱼?我以为是某种金枪鱼,李昂博士鉴定为鲔/Euthynnus affinis,也叫巴鲣或烟仔,算是广义的金枪鱼之一,狭义的不算。听说是高级刺身食材,不过国内并不重视,也就几块钱一斤。好歹也是蛋白质,买点吃也行,看这敦实的体型,肯定肉多啊。

图七 兔头鲀
兔头鲀,可能是怀氏兔头鲀/Lagocephalus wheeleri,河豚的亲戚,在各种河豚鱼中属于低毒级别。国家不允许经营、出售,青岛渔民常有自捕自食,据说鱼肉紧致不腥,味道不错。但这毕竟是“河豚”呐,这就像云南人民吃野生菌一样冒险,我是不敢的,安全第一,不吃为妙。万一杂鱼中有这模样的,记得扔出去。

图八 松鲷
这条黢黑黢黑的鱼叫做松鲷/Lobotes surinamensis,即胶东谚语“加吉头鲅鱼尾,带鱼肚子唇唇嘴”中的“唇唇”,捕获量不大,偶尔能见到。“唇唇嘴”之说,我认为是从东北谚语“鲤鱼头鲶鱼尾,鳊花肚子虫虫嘴”中照搬而来,“虫虫”指唇䱻,其唇部肌肉发达而且肉质上佳,但松鲷的唇却无甚特异,肯定是误会。详见有一种鱼的嘴唇最好吃,你吃过没? 。

图九 小黄鱼
小黄鱼/Larimichthys polyactis,即小黄花鱼,非常普通的海鱼,但在禁渔期是绝对吃不到新鲜小黄花的,因为小黄鱼的人工养殖尚未推广开,人们吃到的小黄鱼都是“纯野生”的。大黄鱼(大黄花鱼)则恰恰相反,野生资源几近枯竭,市面上绝大多数来自于养殖。一般来说,大黄鱼贵小黄鱼便宜,价格甚至相差十倍。

图十 蓝点马鲛
最后是青岛人怎么也吃不够的鲅鱼,蓝点马鲛/Scomberomorus niphonius,此时的鲅鱼被称为“秋鲅鱼”。据我观察,个头有大有小,有些不足20厘米的鲅鱼仔也被惨遭捕捞,着实令人心痛。秋鲅鱼总体上比较瘦,脂肪含量稍低,肚里也不会有鱼籽,吃到嘴里可能略嫌香味不足,好处是价格较为低廉,还不错。
当然,现在码头上的海鱼远不止以上几种,以上只是抛砖引玉,仅供各位老饕参考。